Muster Getreidefeld_landimmo24
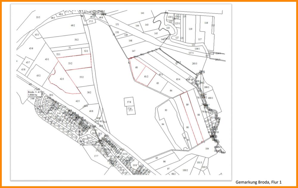
Flurkarte 2
Bereits vermittelt
ca. 51.198 m²
Grundstück

Land Forstwirtschaft verkauft

amarc21 Immobilien exklusiv – keine zusätzliche Käuferprovision!

Zum Verkauf stehen insgesamt 51.170 m² Ackerland und Grünland sowie eine Kleinstfläche Unland mit 28 m².

Bei den Nutzflächen handelt es sich um 5 teilweise zusammenhängende Flurstücke mit einer durchschnittlichen Bonität von 33 BP.

Die Flächen befinden sich am Stadtrand von Neubrandenburg. Zurzeit sind die Flächen verpachtet.

Nach erfolgreicher Kontaktaufnahme über das Kontaktformular übersenden wir Ihnen gerne einen Lageplan und weitere Informationen.

Standort:Neubrandenburg / Broda

Vereinbaren Sie jetzt Ihre kostenlose, telefonische, 15-minütige Erstberatung!